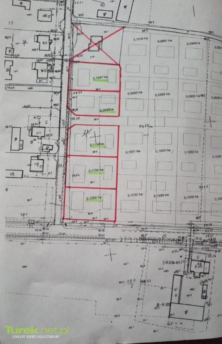
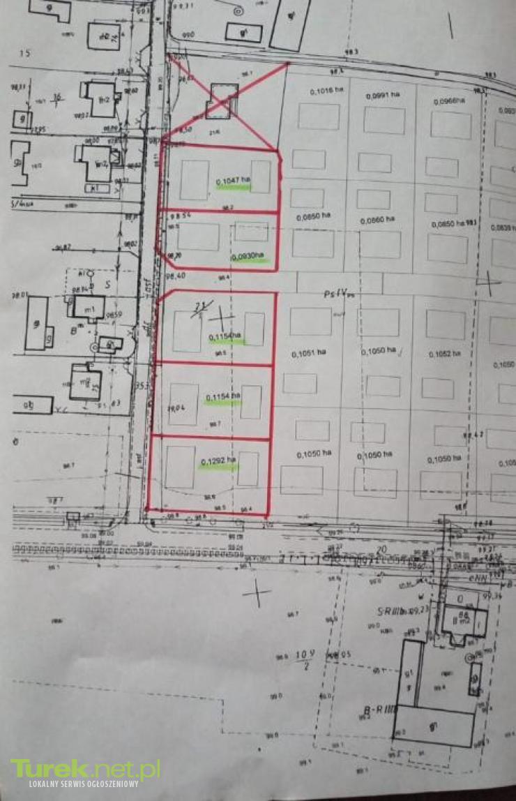
Działka budowlana 10 a
Sprzedam działki budowlane w miejscowości Janiszew 2 km od miejscowości Brudzew. Działki od 9 do 13 a bezpośredni dojazd z drogi asfaltowej. Więcej informacji udzielę telefonicznie 5.3.5.5.3.5.1.4.0
wtorek 24 luty 2026
Boguty, Bogusza, Macieja


Sprzedam działki budowlane w miejscowości Janiszew 2 km od miejscowości Brudzew. Działki od 9 do 13 a bezpośredni dojazd z drogi asfaltowej. Więcej informacji udzielę telefonicznie 5.3.5.5.3.5.1.4.0
Na sprzedaż mieszkanie o powierzchni użytkowej 72,20 m², położone w budynku wielorodzinnym w...
Przestronne, komfortowe wnętrze w niepozornej kamienicy w centrum Turku i brak codziennego dylematu - czy...